Crapmania este in modul offline. Verifica conexiunea la internet!

Partida fulger pe balta Sulimanu

marți, 13 mai 2014
Impreuna cu echipa magazinului de pescuit Carp Gym am hotarat sa facem un pescuit rapid de 12 ore pe balta Sulimanu, joia trecuta. Ca strategie, am ales sa folosim naditoare si plastice pe trei posturi, iar pe al patrulea sa incercam pasta cu o solubila mica la carlig.
 
Orlando, foarte entuziasmat, se apuca sa prepare nada chiar seara in magazin, ca sa aiba timp mixul pana dimineata sa traga toate aromele.
 
 
 
 
Mixul pentru momitoare l-am alcatuit dintr-un groundbait (MHLM de la Senzor) la care am adaugat TTX, ca nada sa fie colanta si o spartura de porumb pentru granulatie si desfacere rapida. La partea lichida am folosit CSL, pe care l-am aromatizat cu ceva picant.
 
 
 
Pentru lanseta la care am hotarat ca pescuim cu pasta si solubile, alegem o pasta de capsuna, iar la carlig o solubila mica cu aroma de squid si octopus. Aveam la noi si varianta de rezerva si anume varianta Frankfurt, cu aroma de carnati si usturoi.
 
 
 
Pe balta am ajuns in jurul orei 6:30 si am fost placut impresionati de conditiile de pescuit. In aceasta parida, Orlando facand strategia, evident ca a ales si locul de pescuit - standul numarul 13.
 
 
 
La ora 7:30 suntem gata cu pregatirile si avem lansetele in apa. In 10 minute apare si primul ciortan si incepe distractia.
 
 
 
Pana in jurul orei 12, naditoarele cu plastice au avut un avantaj clar in fata solubilelor. Dar dupa o pauza de o ora, in care am incercat tot felul de variante, am readus pestele in zona, raspunzand foarte bine acum la Frankfurt, cu care am continuat pana la sfarsitul patidei.
 
 
 
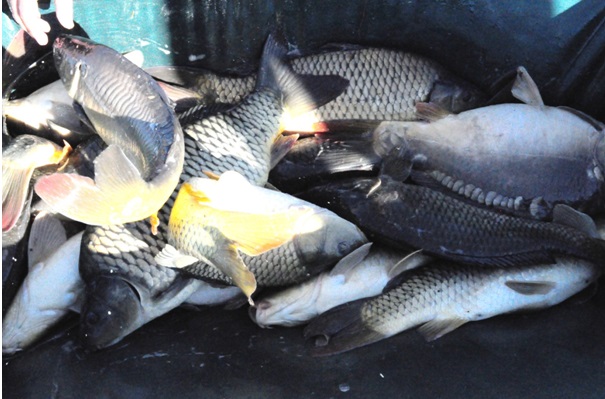
A fost o partida frumoasa in care am reusit sa punem pe salteaua de receptie peste 20 de ciortani, cu greutati cuprinse intre 2 si 4 kg.
 
 
 
Adrian Paunescu
Manager Carp Gym
 
Trimite-ne si tu povestea partidei tale de pescuit la office@crapmania.ro si articolul tau va aparea pe prima pagina Crapmania.ro
6 persoane apreciază asta.
Apasă Îmi place dacă ți-a plăcut articolul. Ne ajută să identificăm conținutul care te interesează și să-ți oferim materiale cât mai relevante pe viitor.
Citește și ..
Comentarii
Momentan nu există comentarii.